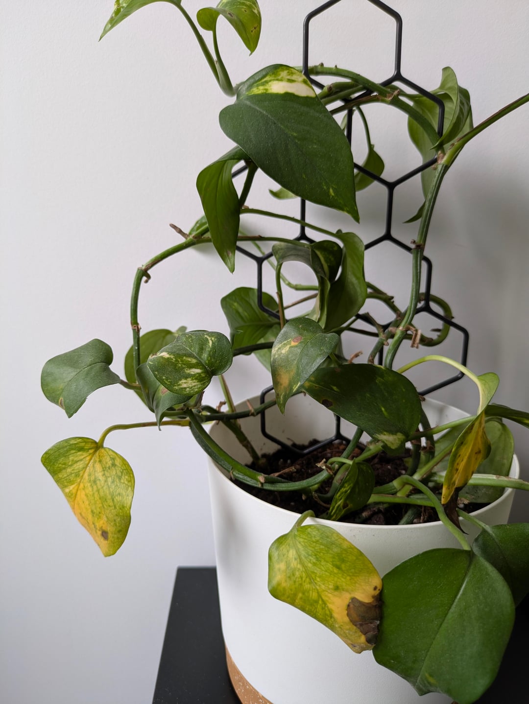
こんにちは、みんな!私はポトスに絶望しています。ほぼ2週間ごとに水をあげています。彼女は窓際にいますが、直射日光は当たりません。最近このようなシミができたので、影響を受けた葉を切りましたが、また出てきました。植物屋に聞いたところ、カビの問題ではないようです。

他に何かアイデアはありますか?

ありがとう!