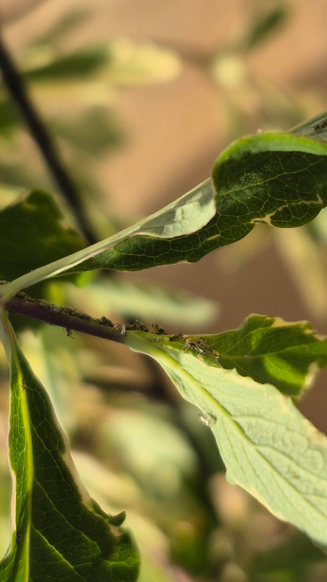
ハニーサックルを育てているのですが、少し垂れてきました。問題はまだわかりませんが、これらのバグが大量に発生していることに気づきました。

私はそれらはアブラムシだと思いましたが、それらを放置したり植物を洗い流したりするのは大したことではないと聞きました。

それが私が心配すべきことか、私の植物が苦しむ理由があるかどうか教えてください。